Marine Mining Technology
Providing leading marine mining solutions for offshore operations in Saudi Arabia and beyond.
SMS is the exclusive partner of Atlantis Blu for exploration in the Red Sea.
This strategic partnership combines expertise and innovation to unlock the region’s geological potential.
Together, they aim to advance sustainable and successful deep-sea exploration.


MV Blue Giant in the Gulf of Mexico
The MV Blue Giant is currently operating in the Gulf of Mexico for offshore missions.
It serves as a versatile platform for subsea exploration and marine research activities.
Equipped with advanced technology, it supports drilling, surveying, and environmental studies.
MeBo200 reached a new depth record of 147 meters during the expedition. It drilled a total of 440 meters across four holes with excellent core recovery. The system operated smoothly with only minor technical issues.
MeBo200 Sets 147m Drilling Record with High Reliability




BAUER MeBo200
The MeBo200 is a reliable and advanced seabed drilling system for deep-sea exploration.
It enables high-quality core recovery from challenging underwater environments.
Trusted in numerous expeditions, it delivers consistent performance and minimal downtime.


Marine Mining
Leading solutions for offshore marine mining operations in Saudi Arabia.


Geophysical Exploration
Multibeam Echosounder




MeBo 200 Seabed Drill Rig


Geotechnical Exploration




Sub-Bottom Profiler
Environmental Measurements


Box Corer










CTD - Rosette
Survey equipment
2 laboratory containers (dry lab + wet lab)
Only required in case selected vessel does not provide sufficient built-in lab capacities
1 reefer container to store samples
Multibeam echosounder, e.g. Kongsberg EM 122 / EM 304
Sub-bottom profiler (20-30m min. penetration depth)
Deepsea winches for 3000m water depth
1x 12t SWL for box corer
1x umbilical winch for CTD / multi-probe


Example of deepsea winch
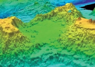
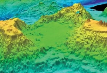
Example of seafloor scan taken with multibeam echosounder








Lab container
Reefer container
Example of seafloor layer profile taken with sub-bottom profiler
Sampling equipment
CTD probe with rosette water sampler (10 l)
Box corer incl. storage and handling frame
sizes of box corer barrels to be discussed


Box corer being taken on deck with A-frame




Example for CTD probe & rosette water sampler
Box corer inside handling frame


Geotechnical Methods:
Wire-Line Coring (Rotary /Push)
Cone Penetration Test (CPT)
In-Situ Borehole Logging
Core Sample Size:
Length 3,5 m




Medium Hard Rock
Rotary Coring
HWL3 61,10 mm
Soft Sediment
Push Coring
NWL3 45,00 mm
By implementing the 1st-of-its-kind Marine Mining Digital Twins Solution & Marine Mining can achieve
Currently, we are collabrating with global partners to pioneer the lst-ever digital twin lifecycle specifically for deep sea mining. This innovative project aims to enhance the efficiency and sustainability of deep sea operations by creating a comprehensive digital replica of the mining process. By integrating real-time data and advanced analytics, we will be able to simulate various scenarios, optimize resource extraction, and monitor environmental impacts effectively. The digital twin will serve as a crucial tool for decision-making, enabling better planning and management of deep sea mining activities. Ultimately, with our digital twin solution and Marine Mining will not only set a new standard for the industry but also contribute significantly to the responsible development of ocean resources, balancing economic interests with environmental stewardship.